
Venezuela neutraliza una aeronave que ingresó al espacio aéreo sin autorización
Venezuela informó que fue “interceptada e inmovilizada” una aeronave que ingresó al espacio aéreo del país “sin autorización” y “con

Venezuela informó que fue “interceptada e inmovilizada” una aeronave que ingresó al espacio aéreo del país “sin autorización” y “con

EEUU asestó tres golpes contra cuatro embarcaciones, que supuestamente transportaban drogas, en el Pacífico oriental el lunes, informa este martes

Durante la última semana, agentes de tránsito de Nicaragua suspendieron 834 licencias de conducir a ciudadanos que infringieron las normas

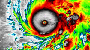
El presidente de Cuba, Miguel Díaz-Canel Bermúdez, pidió este martes a la población tomar precauciones y permanecer en zonas seguras

El superhuracán Melissa tocó tierra este martes en el suroeste de Jamaica, cerca de la localidad de New Hope, como

Cuatro nuevos casos positivos de covid-19 reportó el Ministerio de Salud (Minsa), este martes en su informe semanal comprendido del

Más de 20 mil árboles serán plantados a inicios del próximo mes, como parte de las actividades para conmemorar el

El Gobierno Sandinista pondrá en ejecución el XI Programa de Ampliación y Mejoramiento de Carreteras Tramo A, el cual incluye

La Compañera Copresidenta Rosario Murillo, destacó este martes que el arribo a Nicaragua del Barco Hospital de la Armada del

El ingreso y permanencia por mes a Nicaragua del barco Hospital de la Armada del Ejército Popular de Liberación de

Más Academias de Idiomas Brian Wilson serán inauguradas en las próximas semanas en varios municipios del país, anunció este martes

El vicepresidente electo de Bolivia, Edmand Lara, dijo que el presidente electo, Rodrigo Paz, no le “contesta las llamadas”, a una