El huracán Helene se fortalece en su ruta a Florida y ya casi alcanza la categoría 3

El huracán Helen se fortaleció durante la mañana de este jueves hasta casi alcanzar la categoría 3 en la escala Saffir-Simpson y mientras prosigue su avance hacia Florida, informó el Centro Nacional de Huracanes (NHC, en inglés) de EE.UU.

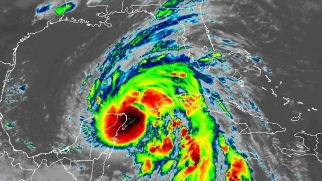
Según el boletín de la 1 de la tarde, hora del centro de EE.UU. (18:00 GMT) del NHC, Helene presenta vientos máximos sostenidos de 175 kilómetros por hora (110 millas) y es casi un huracán de categoría 3, que es partir de 178 kilómetros por hora (111 millas).

El sistema se encuentra a 315 kilómetros (195 millas) al suroeste de Tampa, en la costa centro-oeste de Florida, y a 365 kilómetros (230 millas) al sur de Apalachicola, en el extremo noroeste de este estado y localidad ésta última donde el nivel del mar puede aumentar hasta 4,5 metros (15 pies) por la marejada ciclónica.

Helene, el octavo sistema con nombre en la actual temporada de huracanes en el Atlántico, amenaza con fuertes vientos, marejada ciclónica e inundaciones a una amplia franja costera floridana de cara al Golfo de México.

El sistema se desplaza con rapidez a 26 kilómetros por hora (16 millas) con dirección nor-noreste y los meteorólogos del NHC prevén que esta noche toque tierra en el noroeste de Florida, en la región conocida como Big Bend, como un huracán mayor, es decir de categoría 3, 4 o 5.

«Se espera un debilitamiento después de tocar tierra, pero la rápida velocidad de avance de Helene permitirá que sus vientos fuertes y dañinos, especialmente en ráfagas, penetre bien tierra adentro a través del sureste de Estados Unidos», alertó el NHC.

De impactar en Florida, como se prevé, será el cuarto huracán que alcance tierras estadounidenses este año, tras Beryl, Debby y Francine.

Se forma la tormenta tropical Isaac

Mientras, otra tormenta tropical se formó sobre el Atlántico norte, Isaac, y se encuentra hoy a 2.170 kilómetros (1.345 millas) al oeste de las Azores y a 1.315 kilómetros (820 millas) al este-noreste de las Bermudas.

El sistema avanza hacia el este, lo que le aleja del Caribe y la costa estadounidense, y presenta vientos máximos sostenidos de 85 kilómetros por hora (50 millas por hora).

Se pronostica que Isaac se convierta o esté cerca de convertirse en huracán en la noche del viernes o madrugada del sábado.

Según la Administración Nacional de Océanos y Atmósfera de Estados Unidos (NOAA), la temporada de huracanes en el Atlántico, que comenzó oficialmente el 1 de junio, podría tener una actividad «por encima» del promedio, con entre 8 y 13 huracanes, de los cuales entre 4 y 7 serían de categoría mayor.