
Distrito Naval Caribe realizó la evacuación de 121 personas
El Distrito Naval Caribe y el Estado Mayor de la Defensa Civil, en coordinación con los Comités Regionales y Municipales

El Distrito Naval Caribe y el Estado Mayor de la Defensa Civil, en coordinación con los Comités Regionales y Municipales

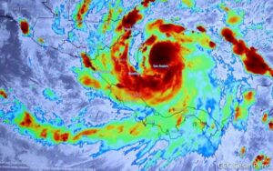
Entre la media noche de este sábado y la madrugada del domingo, se espera que el huracán Julia impacte en

Julia es ahora un huracán con vientos máximos sostenidos de 75 mph (120 km/h), según una actualización especial de las

El Centro Nacional de Huracanes (CNH), con su sede en Estados Unidos advirtió, que Julia fenómeno que impactará esta noche

Una mujer murió soterrada y unas 260 personas resultaron afectadas por las lluvias, ocurridas en las últimas horas en la

Estudiantes de la Universidad Americana (UAM), en articulación con el Ministerio de la Juventud son los protagonistas del curso de

El Ejército de Nicaragua, realizó descargue y resguardo de ayuda humanitaria, enviados por el SINAPRED Central, mismos que fueron almacenados

El Ejército de Nicaragua consecuente con el lema de que “Somos el Pueblo mismo uniformado trabajando en su propio beneficio”,

Con el fin de actuar de manera eficaz y oportuna, ante las fuertes lluvias que serán causadas por el fenómeno

53 lanchas (públicas y privadas), fueron utilizadas por miembros del Ejército de Nicaragua, para el traslado de evacuados de la

Brigadas del Ministerio de Salud (MINSA), continúan vacunando contra la Covid-19 a pobladores de la capital, con el propósito de

Declaración de Alerta Amarilla Nacional ante la Tormenta Julia: Comunicado No. 003-2022 Declaración de Alerta Amarilla en todo el Territorio