Centro Nacional de Huracanes, mantiene que IOTA alcance la categoría de Huracán Intenso

Gobierno de Nicaragua sigue vigilante ante la llegada de IOTA

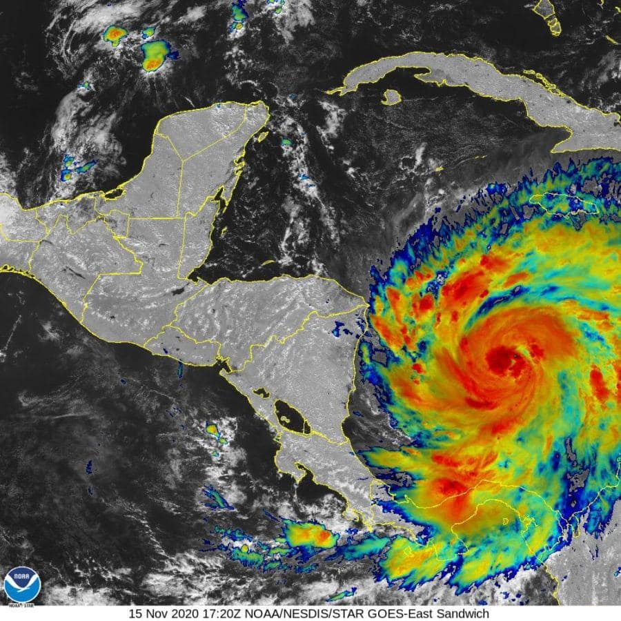
En una nueva actualización, el INETER sobre el Huracán “IOTA” de Categoría 1, informa que se localiza a unos 486 km al Este / Sur-Este de Bilwi, y a unos 490 km al Este / Sur-Este de Cabo Gracias a Dios.

Sus vientos máximos sostenidos se mantienen a 150 km/h, velocidades correspondientes al nivel superior de categoría 1 y su velocidad de traslación es de 15 km/h. Se espera que retome un rumbo Oeste / Nor-Oeste este domingo.

El Centro Nacional de Huracanes mantiene en su pronóstico que se continuará fortaleciendo y que es probable que alcance la categoría de Huracán Intenso.

Con la información del modelo del Centro Nacional de Huracanes se espera que probablemente, el lunes por la noche -o- el martes por la madrugada, se aproxime a tierra en la Región Caribe Norte de Nicaragua, entre al Sur de Cabo Gracias a Dios y Prinzapolka, con una categoría probable de Huracán Intenso, por las condiciones meteorológicas complejas que está presentando en su recorrido, esto todavía presenta imprecisiones.

En la medida que este sistema continúe avanzando hacia el Oeste, se tendrá mejor certeza de su ruta de entrada y tierra e intensidad final.